Estudio de factibilidad vigente al dia 17 de Noviembre 2025

![]() |
SANCHEZ 2060 , Villa Gral. Mitre |


Estudio de factibilidad vigente al dia 17 de Noviembre 2025

![]() |
SANCHEZ 2060 , Villa Gral. Mitre |

Estudio de factibilidad vigente al dia 17 de Noviembre 2025

![]() |
ZONIFICACION Y MIXTURA DE USOS |
Zonificacion Código Nuevo: USAB 2
Alt. Max. Contruible: 14.60 MTS
Pisos: PB + 4 PISOS
Alt. Max. Contruible: 14.60 MTS
Pisos: PB + 4 PISOS

Mixtura Usos: Usos permitidos segun la norma vigente


Estudio de factibilidad vigente al dia 17 de Noviembre 2025

![]() |
INFORMACION DEL TERRENO |
Nota Importante: Toda la información provista en este estudio de factibilidad es a modo de una primer aproximación de cálculos y podrá variar de acuerdo al criterio de cada profesional, por lo tanto sugerimos hacer un exhaustivo análisis antes de tomar una decisión.
DATOS DEL TERRENO

Superficie del Terreno: 544.50m2
Medida del Terreno: 8.90X60
Frente: 8.90m
Contrafrente: 9.10m
Lat Izquierdo: 60.50m
Lat Derecho: 60.50m
Ancho de Calle: 17.32m
APH: desestimado
LFI: 30m
LIB: 40m
Medida del Terreno: 8.90X60
Frente: 8.90m
Contrafrente: 9.10m
Lat Izquierdo: 60.50m
Lat Derecho: 60.50m
Ancho de Calle: 17.32m
APH: desestimado
LFI: 30m
LIB: 40m
CODIGO DE PLANEAMIENTO URBANO (NUEVO)

Zonificacion: USAB 2 (Codigo Anterior : E3 - FOT: 3)
Mixtura de usos: MIXTURA 1
Alt. Max. Construible: 14.60 MTS
Cant Pisos: PB + 4 PISOS
Sup. Vendible: 904.00m2 (Codigo Anterior: 1633.50m2)
Sup. Edificable: 1243.00m2 (1179.00m2 Cubiertos + 64m2 Descubiertos)
Mixtura de usos: MIXTURA 1
Alt. Max. Construible: 14.60 MTS
Cant Pisos: PB + 4 PISOS
Sup. Vendible: 904.00m2 (Codigo Anterior: 1633.50m2)
Sup. Edificable: 1243.00m2 (1179.00m2 Cubiertos + 64m2 Descubiertos)

Estudio de factibilidad vigente al dia 17 de Noviembre 2025

![]() |
CAPACIDAD CONSTRUCTIVA |
| |||||||||||||||||||||||||||||||||||||||||||||||
SUPERFICIE VENDIBLE
904M2 TOTALES
(840m2 CUBIERTOS + 64m2 BALCONES)
904M2 TOTALES
(840m2 CUBIERTOS + 64m2 BALCONES)

Estudio de factibilidad vigente al dia 17 de Noviembre 2025

![]() |
VALUACION DEL TERRENO |
Valor Terreno
![]() |
U$S 245,000
![]() |
Plusvalia
![]() |
SIN PLUSVALIA
![]() |
Incidencia
![]() |
U$S 271 /m2
|

Estudio de factibilidad vigente al dia 17 de Noviembre 2025

![]() |
CROQUIS PARCELA |


Estudio de factibilidad vigente al dia 17 de Noviembre 2025

![]() |
PLANO ÍNDICE |


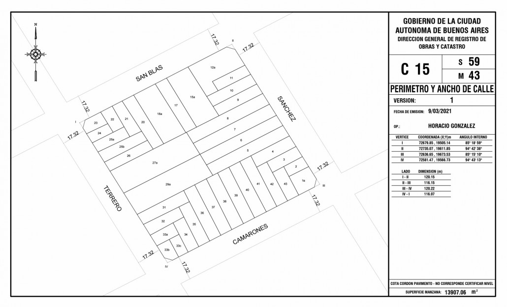
Estudio de factibilidad vigente al dia 17 de Noviembre 2025

![]() |
PERIMETRO MANZANA |


Estudio de factibilidad vigente al dia 17 de Noviembre 2025

![]() |
ZONIFICACIÓN BIS |


Estudio de factibilidad vigente al dia 17 de Noviembre 2025

![]() |
QUIENES SOMOS |
Somos líderes en terrenos. cientos de constructoras confían en nuestra gestión al momento de comenzar la búsqueda de un terreno para sus proyectos. Realizando búsquedas personalizadas constantes para encontrar las mejores localizaciones de la ciudad de Buenos Aires.
Te ofrecemos poner a Tu servicio un equipo profesional de primer nivel, experimentado en servicios inmobiliarios, con la capacidad y medios necesarios para llevar a cabo la transacción de manera eficaz. En Guimat Propiedades brindamos con responsabilidad y eficiencia soluciones a todas las necesidades inmobiliarias, contando con más de 30 años de experiencia en el mercado inmobiliario. Nos encontramos ubicados en el barrio de Recoleta en la calle Junin 1144. Desarrollando nuestra actividad por toda la Ciudad Autónoma de Bs As. Invertimos sin excepción y con continuidad, en la publicación de las propiedades que ofrecemos en las principales páginas del mercado inmobiliario y redes sociales, con fotos y detalles de su propiedad para que pueda ser apreciada por el cliente interesado. |
Estamos Matriculados en CUCICBA Mat N° 197.
Asesoramos tanto en ventas, alquileres, hipotecas y nuevos emprendimientos. Realizamos un estudio de factibilidad tomando en cuenta el verdadero potencial que tiene cada lote para construir, y así llegar al mejor precio de mercado. Nos especializamos en la venta de terrenos en toda Capital federal. Contamos con excelentes terrenos para diversos emprendimientos. Trabajamos para encontrar soluciones y hacer más fácil el camino, hacia su nuevo hogar.... ![]() |





