Estudio de factibilidad vigente al dia 14 de Octubre 2025

![]() |
ALCORTA, AMANCIO AV. 3485 , Nueva Pompeya |


Estudio de factibilidad vigente al dia 14 de Octubre 2025

![]() |
ALCORTA, AMANCIO AV. 3485 , Nueva Pompeya |

Estudio de factibilidad vigente al dia 14 de Octubre 2025

![]() |
ZONIFICACION Y MIXTURA DE USOS |
Zonificacion Código Nuevo: USAA
Alt. Max. Contruible: 22.80m
Pisos: PB + 7 PISOS + 2 RETIROS
Alt. Max. Contruible: 22.80m
Pisos: PB + 7 PISOS + 2 RETIROS

Mixtura Usos: Usos permitidos segun la norma vigente


Estudio de factibilidad vigente al dia 14 de Octubre 2025

![]() |
INFORMACION DEL TERRENO |
Nota Importante: Toda la información provista en este estudio de factibilidad es a modo de una primer aproximación de cálculos y podrá variar de acuerdo al criterio de cada profesional, por lo tanto sugerimos hacer un exhaustivo análisis antes de tomar una decisión.
DATOS DEL TERRENO

Superficie del Terreno: 243.72m2
Medida del Terreno: 8.66X28
Frente: 8.66m
Contrafrente: 9.33m
Lat Izquierdo: 28.83m
Lat Derecho: 25.36m
Ancho de Calle: m
APH: desestimado
LFI: No Alcanzada
LIB: No Alcanzada
Medida del Terreno: 8.66X28
Frente: 8.66m
Contrafrente: 9.33m
Lat Izquierdo: 28.83m
Lat Derecho: 25.36m
Ancho de Calle: m
APH: desestimado
LFI: No Alcanzada
LIB: No Alcanzada
CODIGO DE PLANEAMIENTO URBANO (NUEVO)

Zonificacion: USAA (Codigo Anterior : C3 II - FOT: LIBRE)
Mixtura de usos: MIXTURA 4
Alt. Max. Construible: 22.80m
Cant Pisos: PB + 7 PISOS + 2 RETIROS
Sup. Vendible: 1350.00m2 (Codigo Anterior: 1350m2)
Sup. Edificable: 1823.00m2 (1643.00m2 Cubiertos + 180m2 Descubiertos)
Mixtura de usos: MIXTURA 4
Alt. Max. Construible: 22.80m
Cant Pisos: PB + 7 PISOS + 2 RETIROS
Sup. Vendible: 1350.00m2 (Codigo Anterior: 1350m2)
Sup. Edificable: 1823.00m2 (1643.00m2 Cubiertos + 180m2 Descubiertos)

Estudio de factibilidad vigente al dia 14 de Octubre 2025

![]() |
CAPACIDAD CONSTRUCTIVA |
|
SUPERFICIE VENDIBLE
1350M2 TOTALES
(1170m2 CUBIERTOS + 180m2 BALCONES)
1350M2 TOTALES
(1170m2 CUBIERTOS + 180m2 BALCONES)

Estudio de factibilidad vigente al dia 14 de Octubre 2025

![]() |
VALUACION DEL TERRENO |
Valor Terreno
![]() |
U$S 200,000
![]() |
Plusvalia
![]() |
SIN PLUSVALIA
![]() |
Incidencia
![]() |
U$S 148 /m2
|

Estudio de factibilidad vigente al dia 14 de Octubre 2025

![]() |
ZONIFICACIÓN BIS |


Estudio de factibilidad vigente al dia 14 de Octubre 2025

![]() |
CROQUIS PARCELA |


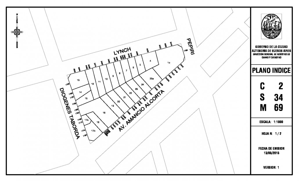
Estudio de factibilidad vigente al dia 14 de Octubre 2025

![]() |
PLANO ÍNDICE |


Estudio de factibilidad vigente al dia 14 de Octubre 2025

![]() |
RESOLUCIÓN DE MANZANA |


Estudio de factibilidad vigente al dia 14 de Octubre 2025

![]() |
QUIENES SOMOS |
Somos líderes en terrenos. cientos de constructoras confían en nuestra gestión al momento de comenzar la búsqueda de un terreno para sus proyectos. Realizando búsquedas personalizadas constantes para encontrar las mejores localizaciones de la ciudad de Buenos Aires.
Te ofrecemos poner a Tu servicio un equipo profesional de primer nivel, experimentado en servicios inmobiliarios, con la capacidad y medios necesarios para llevar a cabo la transacción de manera eficaz. En Guimat Propiedades brindamos con responsabilidad y eficiencia soluciones a todas las necesidades inmobiliarias, contando con más de 30 años de experiencia en el mercado inmobiliario. Nos encontramos ubicados en el barrio de Recoleta en la calle Junin 1144. Desarrollando nuestra actividad por toda la Ciudad Autónoma de Bs As. Invertimos sin excepción y con continuidad, en la publicación de las propiedades que ofrecemos en las principales páginas del mercado inmobiliario y redes sociales, con fotos y detalles de su propiedad para que pueda ser apreciada por el cliente interesado. |
Estamos Matriculados en CUCICBA Mat N° 197.
Asesoramos tanto en ventas, alquileres, hipotecas y nuevos emprendimientos. Realizamos un estudio de factibilidad tomando en cuenta el verdadero potencial que tiene cada lote para construir, y así llegar al mejor precio de mercado. Nos especializamos en la venta de terrenos en toda Capital federal. Contamos con excelentes terrenos para diversos emprendimientos. Trabajamos para encontrar soluciones y hacer más fácil el camino, hacia su nuevo hogar.... ![]() |
