Estudio de factibilidad vigente al dia 14 de Octubre 2025

![]() |
RAFAELA 4819 , Villa Luro |


Estudio de factibilidad vigente al dia 14 de Octubre 2025

![]() |
RAFAELA 4819 , Villa Luro |

Estudio de factibilidad vigente al dia 14 de Octubre 2025

![]() |
ZONIFICACION Y MIXTURA DE USOS |
Zonificacion Código Nuevo: USAA
Alt. Max. Contruible: 22.80m
Pisos: PB + 7 PISOS + 2 RETIROS
Alt. Max. Contruible: 22.80m
Pisos: PB + 7 PISOS + 2 RETIROS

Mixtura Usos: Usos permitidos segun la norma vigente


Estudio de factibilidad vigente al dia 14 de Octubre 2025

![]() |
INFORMACION DEL TERRENO |
Nota Importante: Toda la información provista en este estudio de factibilidad es a modo de una primer aproximación de cálculos y podrá variar de acuerdo al criterio de cada profesional, por lo tanto sugerimos hacer un exhaustivo análisis antes de tomar una decisión.
DATOS DEL TERRENO

Superficie del Terreno: 134.01m2
Medida del Terreno: 7.50X17
Frente: 7.50m
Contrafrente: 7.75m
Lat Izquierdo: 17.57m
Lat Derecho: 17.58m
Ancho de Calle: 13.86m
APH: desestimado
LFI: No Alcanzada
LFI RETIRANDO: 3m
LFI RET. FONDO: 14.57m
LIB: No Alcanzada
Medida del Terreno: 7.50X17
Frente: 7.50m
Contrafrente: 7.75m
Lat Izquierdo: 17.57m
Lat Derecho: 17.58m
Ancho de Calle: 13.86m
APH: desestimado
LFI: No Alcanzada
LFI RETIRANDO: 3m
LFI RET. FONDO: 14.57m
LIB: No Alcanzada
CODIGO DE PLANEAMIENTO URBANO (NUEVO)

Zonificacion: USAA (Codigo Anterior : R2a II - FOT: 2.77)
Mixtura de usos: MIXTURA 2
Alt. Max. Construible: 22.80m
Cant Pisos: PB + 7 PISOS + 2 RETIROS
Sup. Vendible: 754.00m2 (Codigo Anterior: 371.21m2)
Sup. Edificable: 1159.00m2 (1080.00m2 Cubiertos + 79m2 Descubiertos)
A - EDIFICABILIDAD ADICIONAL: 493m2
B - Incidencia UVas (Ley 6062) : 50 U'vas
C - Alicuota (Ley 6062) para Zona 2: 18 %
Plusvalia: Si
Plusvalia en U Vas a abonar: 4437
Plusvalia en $ a abonar: $ 7,159,632
Plusvalia en U$D a abonar: U$S 5,132
Descripcion: LOTE EN VILLA LURO
Mixtura de usos: MIXTURA 2
Alt. Max. Construible: 22.80m
Cant Pisos: PB + 7 PISOS + 2 RETIROS
Sup. Vendible: 754.00m2 (Codigo Anterior: 371.21m2)
Sup. Edificable: 1159.00m2 (1080.00m2 Cubiertos + 79m2 Descubiertos)
A - EDIFICABILIDAD ADICIONAL: 493m2
B - Incidencia UVas (Ley 6062) : 50 U'vas
C - Alicuota (Ley 6062) para Zona 2: 18 %
Plusvalia: Si
Plusvalia en U Vas a abonar: 4437
Plusvalia en $ a abonar: $ 7,159,632
Plusvalia en U$D a abonar: U$S 5,132
Descripcion: LOTE EN VILLA LURO

Estudio de factibilidad vigente al dia 14 de Octubre 2025

![]() |
CAPACIDAD CONSTRUCTIVA |
|
SUPERFICIE VENDIBLE
754M2 TOTALES
(675m2 CUBIERTOS + 79m2 BALCONES)
754M2 TOTALES
(675m2 CUBIERTOS + 79m2 BALCONES)

Estudio de factibilidad vigente al dia 14 de Octubre 2025

![]() |
PLUSVALIA |
CALCULO DE PLUSVALIA URBANA

493m2 |
X | 50 U'vas |
X | Zona 2 ( 18 % ) |
= |
4437 U'vas $ 7,159,632 U$S 5,132 |

QUE ES LA PLUSVALIA

A partir del nuevo Código Urbanístico la Legislatura de la Ciudad Autónoma de Buenos Aires sancionó la
Ley 6062 de Plusvalía Urbana, que establece un impuesto a las parcelas que obtuvieron una "ganancia" por cambios normativos. Ese impuesto compensatorio será pagado por quien quiera usar esa contractibilidad adicional que le otorgó el nuevo Código.
Ley 6062 de Plusvalía Urbana, que establece un impuesto a las parcelas que obtuvieron una "ganancia" por cambios normativos. Ese impuesto compensatorio será pagado por quien quiera usar esa contractibilidad adicional que le otorgó el nuevo Código.

Estudio de factibilidad vigente al dia 14 de Octubre 2025

![]() |
VALUACION DEL TERRENO |
Valor Terreno
![]() |
U$S 120,000
![]() |
Plusvalia
![]() |
U$S 5,132
![]() |
Incidencia
![]() |
U$S 166 /m2 |

Estudio de factibilidad vigente al dia 14 de Octubre 2025

![]() |
ZONIFICACIÓN BIS |


Estudio de factibilidad vigente al dia 14 de Octubre 2025

![]() |
CROQUIS PARCELA |


Estudio de factibilidad vigente al dia 14 de Octubre 2025

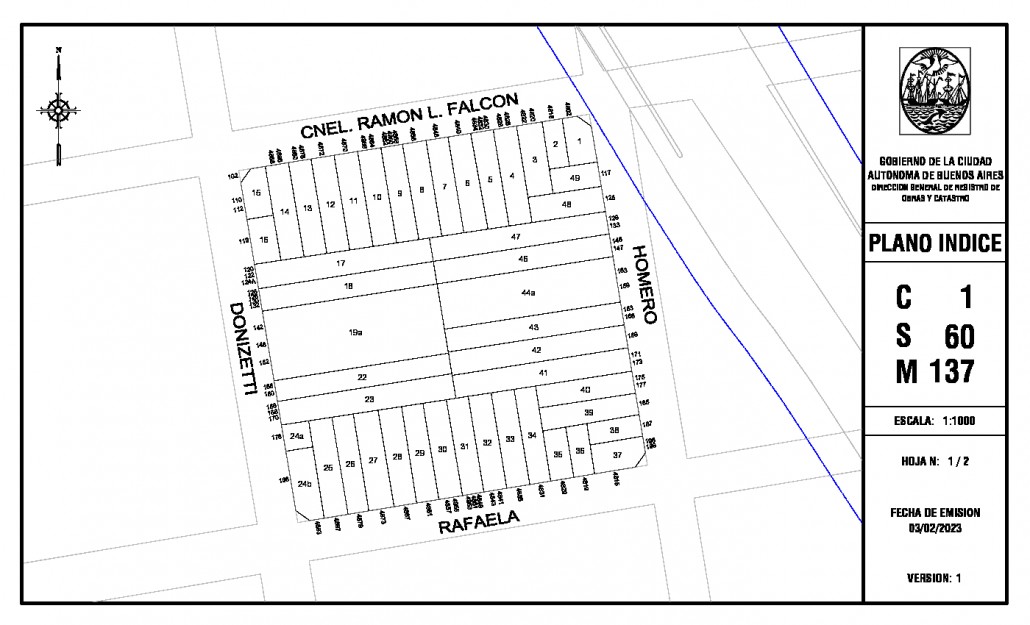
![]() |
PLANO ÍNDICE |


Estudio de factibilidad vigente al dia 14 de Octubre 2025

![]() |
PERIMETRO MANZANA |


Estudio de factibilidad vigente al dia 14 de Octubre 2025

![]() |
QUIENES SOMOS |
Somos líderes en terrenos. cientos de constructoras confían en nuestra gestión al momento de comenzar la búsqueda de un terreno para sus proyectos. Realizando búsquedas personalizadas constantes para encontrar las mejores localizaciones de la ciudad de Buenos Aires.
Te ofrecemos poner a Tu servicio un equipo profesional de primer nivel, experimentado en servicios inmobiliarios, con la capacidad y medios necesarios para llevar a cabo la transacción de manera eficaz. En Guimat Propiedades brindamos con responsabilidad y eficiencia soluciones a todas las necesidades inmobiliarias, contando con más de 30 años de experiencia en el mercado inmobiliario. Nos encontramos ubicados en el barrio de Recoleta en la calle Junin 1144. Desarrollando nuestra actividad por toda la Ciudad Autónoma de Bs As. Invertimos sin excepción y con continuidad, en la publicación de las propiedades que ofrecemos en las principales páginas del mercado inmobiliario y redes sociales, con fotos y detalles de su propiedad para que pueda ser apreciada por el cliente interesado. |
Estamos Matriculados en CUCICBA Mat N° 197.
Asesoramos tanto en ventas, alquileres, hipotecas y nuevos emprendimientos. Realizamos un estudio de factibilidad tomando en cuenta el verdadero potencial que tiene cada lote para construir, y así llegar al mejor precio de mercado. Nos especializamos en la venta de terrenos en toda Capital federal. Contamos con excelentes terrenos para diversos emprendimientos. Trabajamos para encontrar soluciones y hacer más fácil el camino, hacia su nuevo hogar.... ![]() |
